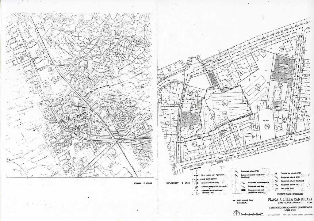
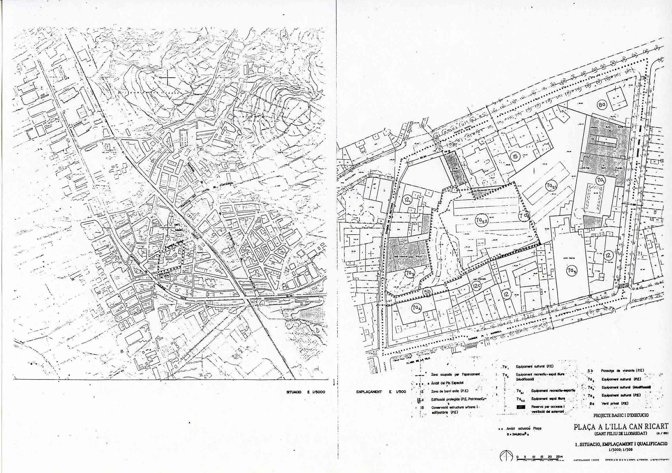
Projecte d'urbanització d'una plaça pública a l'illa de Can Ricart, a Sant Feliu de Llobregat

Destinatari: Ajuntament de Sant Feliu de Llobregat

Superfície: 0,4 ha.

Desembre 1991

La nova plaça es troba al pati interior d’una illa situada al centre de Sant Feliu de Llobregat.

Sota de la plaça s’ha construït un aparcament per a 170 places.

Els edificis que envolten la plaça li donen la façana posterior. Alguns d’aquests edificis són catalogats.