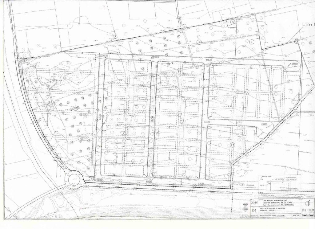
Destinataris: Ajuntament de La Bisbal del Penedès
Superfície: 266.700 m²
Aprovació definitiva: Juny 2002
Es tracta de l’ordenació industrial, tocant al circuit d’IDIADA, destinat a la demanda d’indústria mitjana i petita.